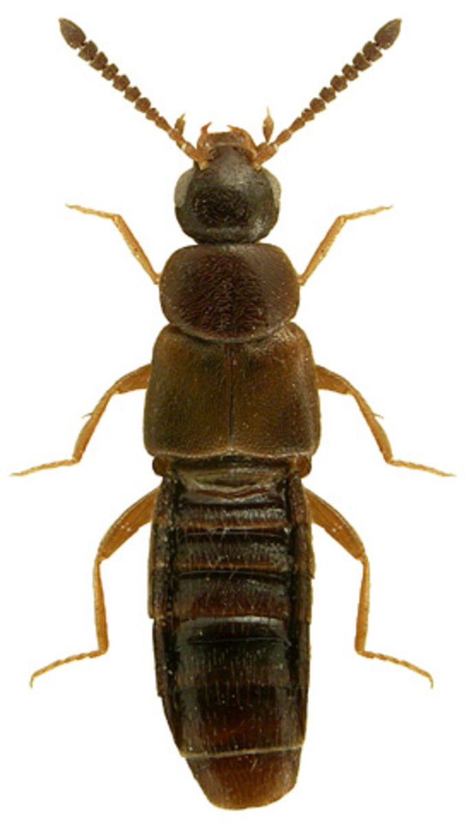
Staphyline (Atheta coriaria)

Staphyline contains the soil-dwelling predatory insect Atheta coriaria, specialized in controlling thrips in tomato, pepper and ornamental crops. With high compatibility with biological and chemical active substances, it can be applied up to the day of harvest, leaving no residues.

Key benefits

  • Compatible with most biological and chemical active substances
  • Application possible up to the day of harvest
  • Zero residues

Product information

  • Target pest: Thrips (Thrips spp.)
  • Contains: Atheta coriaria
  • Typical dosage: 5–10 individuals/m²
  • Crops: Tomato, Pepper, Ornamentals

Related documents

SKU: BIOLINE.STAPHYLINE Category: